Los cazadores de huracanes de la Fuerza Aérea de EE. UU. sorprendieron al público cuando se vio a sus aviones cruzando el enorme ojo del huracán Melissa antes de tocar tierra en Jamaica.
El 53.º Escuadrón de Reconocimiento Meteorológico voló un Super Hércules de un lado a otro de la tormenta, pasando directamente sobre el ojo gigante a una altura de hasta 10,00 pies en el aire.
El otro avión, un WP-3D Orion operado por la Administración Nacional Oceánica y Atmosférica (NOAA), se dirigió hacia el suroeste y realizó varias vueltas alrededor del borde de Melissa.
La misión de los cazadores de huracanes de la Fuerza Aérea de EE. UU. es volar dentro y alrededor de tormentas tropicales e invernales para recopilar datos críticos en tiempo real sobre la velocidad del viento, la presión, la temperatura y la humedad.
Estos datos son esenciales para que el Centro Nacional de Huracanes (NHC) y otros pronosticadores mejoren el pronóstico de huracanes y tormentas invernales, lo que ayuda a los administradores de emergencias con evacuaciones y advertencias para proteger vidas y propiedades.
Los Cazadores de Huracanes de la Reserva de la Fuerza Aérea publicaron en Facebook que el Super Hércules, distintivo de llamada TEAL 75, pasó el ojo de la tormenta y regresó sano y salvo.
La publicación decía: “Durante el evento, el avión experimentó brevemente fuerzas más fuertes de lo normal debido a la turbulencia.
“Aunque esto no indica automáticamente daños, los procedimientos de seguridad estándar requieren una inspección antes de volver a funcionar”.
El 53.º Escuadrón de Reconocimiento Meteorológico voló un Super Hércules de un lado a otro de la tormenta, pasando directamente sobre el ojo gigante a una altura de hasta 10,00 pies en el aire. El otro avión era un WP-3D Orion (arriba).
 
 La misión de los cazadores de huracanes de la Fuerza Aérea de EE. UU. es volar dentro y alrededor de tormentas tropicales e invernales para recopilar datos críticos en tiempo real sobre la velocidad del viento, la presión, la temperatura y la humedad.
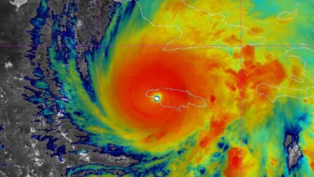
Melissa golpeó la costa oeste de Jamaica alrededor de la 1:00 p.m. y ahora se moverá hacia el noreste sobre su masa continental a aproximadamente 9 mph.
Hasta el momento se han reportado múltiples muertes. Se ha advertido a los lugareños que se refugien en el interior, ya que se pronostican vientos de 185 mph, inundaciones y enormes olas del mar.
Melissa es uno de los huracanes más fuertes de la historia, superando la intensidad de Katrina.
La tormenta causó daños estimados en 125 mil millones de dólares y mató a 1.392 personas cuando azotó Nueva Orleans en 2005.
Horas antes de tocar tierra, dos aviones despegaron de Estados Unidos para recopilar datos que ayudaran a afrontar la tormenta y mejorar la respuesta de emergencia.
El Super Hércules despegó de Willemstad, la capital de la isla caribeña holandesa de Curazao, a las 6 a.m. y voló a través de Melissa y dio la vuelta.
El vuelo regresó a Willemstad a las 16.00 horas.
El WP-3D Orion despegó del Aeropuerto Internacional Lakeland Linda de Florida a las 7:05 a.m.
 
 Melissa llegó a la costa oeste de Jamaica alrededor de la 1:00 p.m. y ahora se moverá hacia el noreste sobre tierra a aproximadamente 9 mph.
El ministro de gobierno local, Desmond McKenzie, dijo que más de 6.000 jamaicanos se encontraban en 382 refugios mientras eran evacuados del huracán Melissa.
McKenzie señaló que St. Elizabeth, que se prevé que será la más afectada por la tormenta, tuvo una baja participación.
“St. Elizabeth está preocupada porque entiendo que estamos recibiendo llamadas de personas en St. Elizabeth antes de la transmisión pidiéndonos que enviemos transporte a diferentes comunidades para transportar personas desde esas áreas”, dijo McKenzie.
‘Va a ser difícil; He ordenado al director y al equipo de ODPEM que asesoren a los coordinadores de desastres, a los parlamentarios y a los alcaldes, dondequiera que se requiera transporte.
‘Deberían hacer todo lo posible para proporcionar transporte para sacar a la gente.
“Pero los sistemas que teníamos (para evacuar a la gente), esos sistemas ahora están en suspenso debido a la cercanía del sistema (de huracanes)”.











